跳到主要內容
首頁 > 藏品資訊
:::
藏品資訊
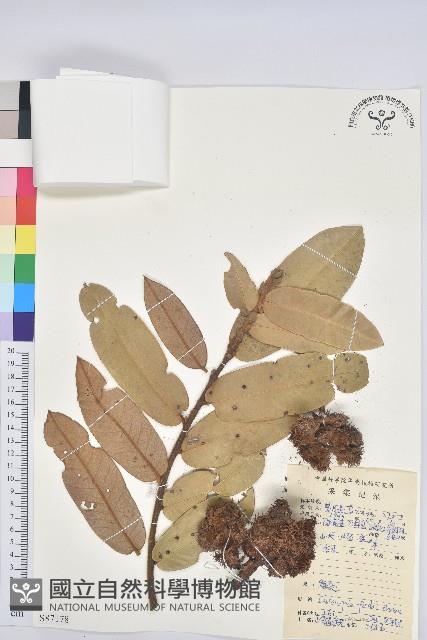
南嶺栲藏品圖,第1張

圖檔授權標示:創用CC說明圖示


南嶺栲

學門:維管束學門

科名:Fagaceae 殼斗科

學名: Castanopsis fordii Hance

採集號:02700

採集者:曾飛燕等

行政區域:Jianghua Yao Aut. Co. 江華縣

採集地:Near Hsiangchiang Hsiang 湘江鄉附近

海拔高度(m):680

館號 TNM No.:S087178